Valladolid
El reloj floral de Colón reduce su espacio para acoger el carril biciLas máquinas de obra ya han rebajado su entorno para construir el nuevo paso ciclista
El reloj floral de Colón está teniendo unos últimos años mucho más ajetreados de lo que cabe esperar para una estructura fija cuya función es dar la hora. El año pasado se pasó la friolera de ocho meses sin realizar esa función después de que unos vándalos, por cuarta vez, le rompieran las agujas. En aquella ocasión, la reparación se prolongó mucho más de lo deseable y ahora, un año después de su reparación, está viendo como unas máquinas le están quitando su espacio para dejar su entorno reducido a su esfera.
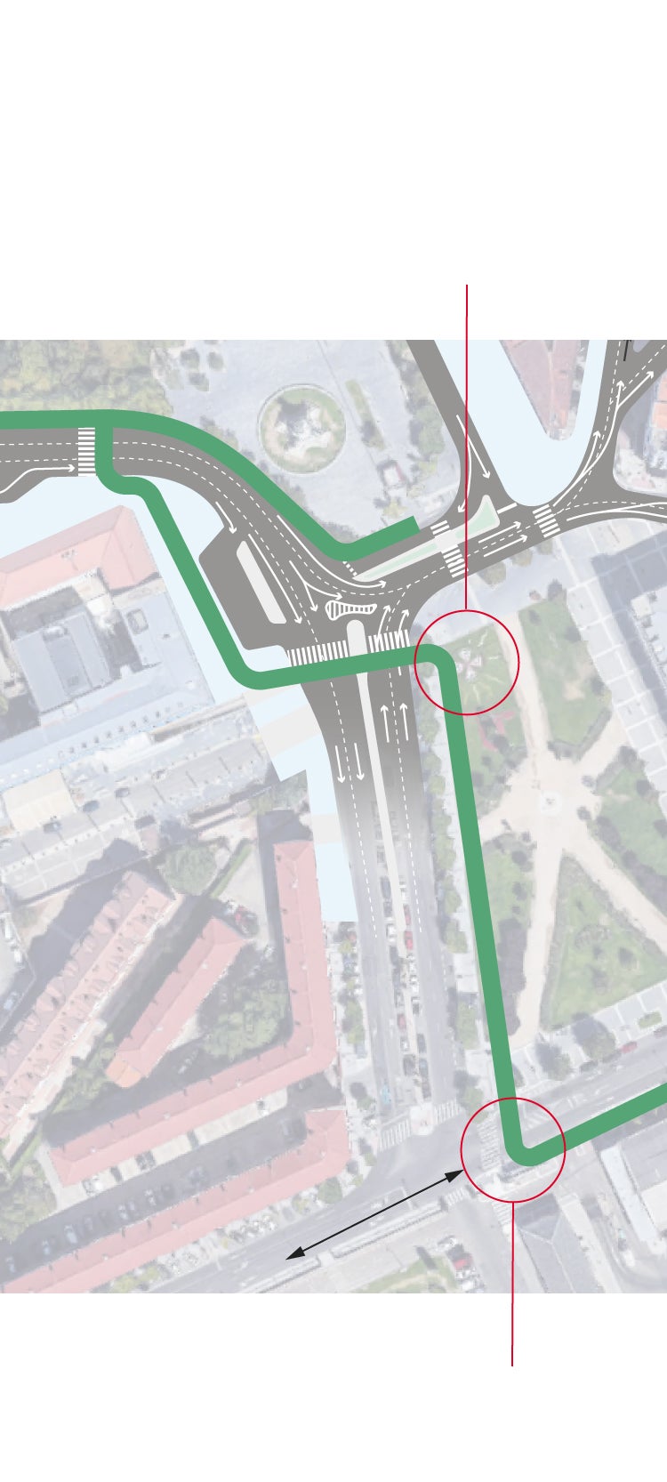
Las obras de la conexión ciclista entre la calle Recondo y el paseo Filipinos han llevado a modificar el diseño del entorno ajardinado y las máquinas han comenzado a quitar el césped y la tierra que rodea el diseño primitivo de este espacio floral. Ya se ha despejado la pequeña ladera de una anchura aproximada de unos dos metros y pronto se colocará una gran chapa para contener las tierras, dejando así espacio al carril bici, que invadirá este espacio verde hacia la estación ferroviaria.

Prolongación del carril bici del Paseo de Filipinos
Modificación del montículo donde se encuentra el reloj floral para hacer hueco al carril bici, colocando un muro de contención para la tierra.
Paseo de Filipinos
Monumento a Colón
Hospital
Estación del Norte
Recondo
Conexión del nuevo tramo con el carril ya exitente en Recondo

Prolongación del carril bici del Paseo de Filipinos
Modificación del montículo donde se encuentra el reloj floral para hacer hueco al carril bici, colocando un muro de contención para la tierra.
Paseo de Filipinos
Monumento a Colón
Hospital
Estación del Norte
Recondo
Conexión del nuevo tramo con el carril ya exitente en Recondo

Prolongación del carril bici del Paseo de Filipinos
Modificación del montículo donde se encuentra el reloj floral para hacer hueco al carril bici, colocando un muro de contención para la tierra.
Gamazo
Muro
Paseo de Filipinos
Monumento a Colón
Estación
Hospital
Estación del Norte
Recondo
Conexión del nuevo tramo con el carril ya exitente en Recondo
La remodelación de este espacio viene obligada para ganar metros y destinarlos a un carril bici que tiene como objetivo conectar el existente en la calle Recondo y que, desde el propio acceso a la Estación de Campo Grande, permitirá continuar el recorrido ciclista para conectar con el que ya funciona en el paseo de Filipinos a través de una nueva unión de caminos sobre dos ruedas.
De esta manera, se consuma una remodelación significativa del reloj floral, ideado por el equipo del anterior alcalde Francisco Javier León de la Riva y puesto en funcionamiento en marzo de 2015 con el mecenazgo de la compañía vallisoletana Mozo Grau S.A.
Las obras comenzaron en verano y la intención es que finalicen antes de fin de año para terminar una actuación que conllevará la convivencia, en un tramo de unos cinco metros de anchura de ciclistas y peatones, que a las horas punta son muy numerosos, dado que muchos de ellos son viajeros con maletas de los servicios ferroviarios.